Prodej stavebního pozemku 1 035 m²
Na Zadkách, Vratimov, okres Ostrava-město
2 700 000 Kč (2 609 Kč/m²) Chci spočítat hypotéku
Prodej pozemku pro výstavbu RD Vratimov
Exklusivně nabízíme k prodeji stavební pozemek pro výstavbu RD v klidné části Vratimova na ulici Na Zadkách v klidné části, poblíž lesa.
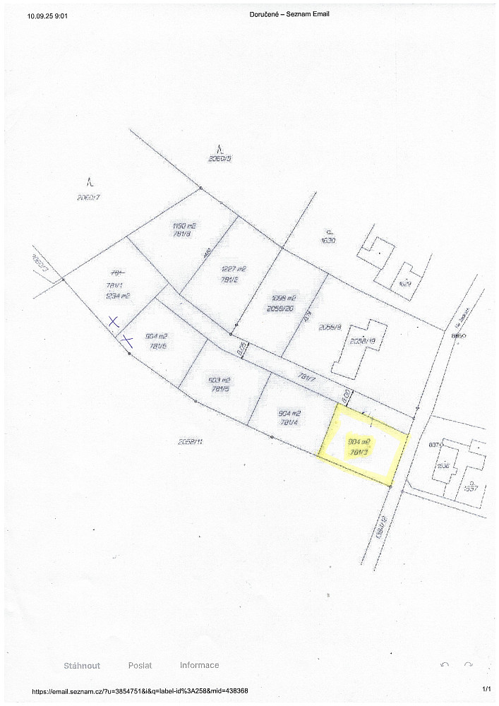
Celková výměra pozemku je 1035 m², z toho pozemek pro výstavbu rodinného domu má výměru 904 m² a podíl na příjezdové cestě 131 m².
Sítě: o elektrickou přípojku požádáno u ČEZ, plyn zde není, vodovod u cesty, kanalizace v této lokalitě zatím není.
Tvar pozemku obdélníkový, rozměr pozemku cca 25m x 36m, rovinatý, slunný, orientace pozemku (delší stranou) východ x západ.
Doporučujeme prohlídku!
- Číslo zakázky
- IDNES-333
- Cena
- 2 700 000 Kč Spočítat hypotéku
- Vlastnictví
- osobní
- Plocha pozemku
- 1035 m2
- Spočítej stěhování
-
Nemůžete najít tu správnou nemovitost ke koupi? Zadejte si poptávku. Rádi Vám s hledáním pomůžeme.
Realitní novinky
Při realitním obchodu nechte nemovitost prověřit a prodávat profesionály
29.10.2025 23:00 Komerční sdělení
Nápady volebních programů na regulaci realitního trhu
09.10.2025 07:36 Komerční sdělení
Jak na rekonstrukci bytu, který chcete pronajímat
01.10.2025 11:16 Komerční sdělení
Investiční příležitost: Rekreační areál u Hluboké nad Vltavou míří mezi nejatraktivnější projekty v ČR
17.09.2025 10:15 Komerční sdělení
Chytrá domácnost pro každého: 5 dostupných gadgetů, které usnadní život
04.09.2025 15:09 Komerční sdělení